Erklärung:

Hier haben sie die Möglichkeit sich den für Ihre Parzelle aktuellen und vermessenen Katasterplan auszuwählen und zu drucken.

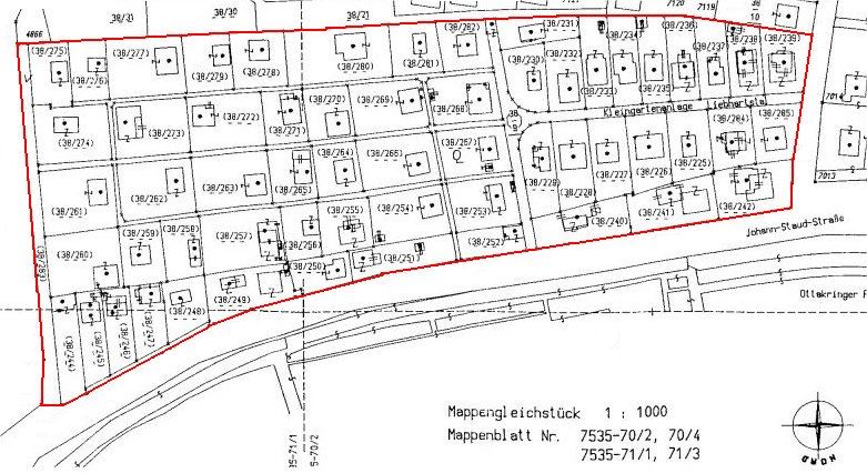
Der Katasterplan ist im Maßstab 1:1000 (Mappenblatt 7535-70/2, 70/4 und 7535-71/1, 71/3) und enthält alle 61 Vereinsparzellen. Von diesen sind alle 59 Gartenparzellen einzeln zum Auswählen in unterer Tabelle verfügbar, die Wegparzellen wurden nicht übertragen!

Die einzelnen Datein sind mit WinZIP komprimierte PDF-Files!

Katasterplan der gesamten Vereinsanlage:

Katasterplan des Kleingartenvereins

Katasterplan des Kleingartenvereins

(zum Vergrößern Bild anklicken!)


  • Sie können sich selbsverständlich sie Katasterpläne auch unter Downloads bequem herunterladen!

Wir verwenden Cookies, um Ihnen ein optimales Webseiten-Erlebnis zu bieten. Dazu zählen Cookies, die für den Betrieb der Seite und für die Steuerung unserer kommerziellen Unternehmensziele notwendig sind, sowie solche, die lediglich zu anonymen Statistikzwecken, für Komforteinstellungen oder zur Anzeige personalisierter Inhalte genutzt werden. Sie können selbst entscheiden, welche Kategorien Sie zulassen möchten. Bitte beachten Sie, dass auf Basis Ihrer Einstellungen womöglich nicht mehr alle Funktionalitäten der Seite zur Verfügung stehen. Weitere Informationen finden Sie inunserer Datenschutzerklärung am Ende der Seite.
Sie geben Einwilligung zu unseren Cookies, wenn Sie unsere Webseite weiterhin nutzen.